Planter, Økologi

Angreb af svampesygdomme i forskellige sorter af hestebønner, ærter og lupin

Find resultaterne for Tystofte og SEGES Innovation bedømmelse af angreb af svampesygdomme i juni-juli i forskellige sorter af hestebønner, ærter og lupin (smalbladet og hvid lupin) i udvalgte sortsforsøg i landsforsøg i 2022.

Tystofte og Seges har i forbindelse med et IPM projekt bevilliget af Miljøstyrelsen bedømt angreb af svampesygdomme i juni-juli i forskellige sorter af hestebønner, ærter og lupin (smalbladet og hvid lupin) i udvalgte sortsforsøg i landsforsøg i 2022. Der er både bedømt i sorter, som er på markedet og sorter, som er under afprøvning til dansk sortsliste.

Der var forskelle på hestebønnesorternes modtagelighed for vikkeskimmel. I smalbladet lupin blev der fundet meget kløverskimmel i de fleste sorter. I hvid lupin var der meget antracnose i sorten Figaro. I det følgende vises resultaterne samt fotos af de fundne svampesygdomme. Der er vist 25 fotos af angreb, især af angreb i lupin. Fotos er taget af Ghita Cordsen Nielsen, SEGES.

Forekomst af sygdomme

Smittetrykket varierede i forsøgene fra ingen angreb til kraftige angreb afhængig af lokalitet og svampesygdom. Der er udvalgt forsøg, hvor der var et vist smittetryk af svampesygdomme. Svage angreb gør det usikkert at skelne sorternes modtagelighed. I det følgende er derfor kun vist resultater for svampesygdomme, hvor der på lokaliteten har været betydende angreb.
En oversigt over alle bedømmelser ses på Tystoftes hjemmeside. Data, der giver en sortsdiffentiering, kan snarest ses på Sortinfo.

Bedømmelsesmetode

Der er for alle sygdomme bedømt angreb efter en 1-9 skala. Se skala nedenfor. Der er ikke benyttet mellemliggende værdier. Der er bedømt i en enkelt ubehandlet gentagelse pr. forsøg. I forsøgene blev anlagt en ekstra ubehandlet gentagelse i tilfælde af, at der var behov for at behandle forsøgene mod svampesygdomme. Der er dog kun undtagelsesvis udført svampesprøjtning i forsøgene.

Bedømmelsesskala:

Karakter 1: Ingen angreb
Karakter 2: Spor
Karakter 3: Enkelte pletter
Karakter 4: Ca. 1 procent dækning
Karakter 5: Ca. 5 procent dækning
Karakter 6: Ca. 10 procent dækning
Karakter 7: Ca. 25 procent dækning
Karakter 8: Ca. 50 procent dækning
Karakter 9: Ca. 100 procent dækning

Registreringer i hestebønner

I hestebønner var der på flere lokaliteter relativt kraftige angreb af vikkeskimmel (Peronospora viciae f.sp. fabae), og der er bedømt angreb på 6 lokaliteter. Se tabel 1. På 3 af lokaliteterne er der foretaget bedømmelser på to tidspunkter. Ved beregning af gennemsnit for alle lokaliteterne er der for lokaliteter, hvor der er foretaget bedømmelser på to tidspunkter, anvendt gennemsnitsdata.
Der er også bedømt angreb af hestebønnerust og chokoladeplet på 3 lokaliteter, men resultaterne vurderes ikke at kunne anvendes til at skelne sorternes modtagelighed grundet sene og svage angreb eller samtidig forekomst af kraftige angreb af vikkeskimmel, som gjorde bedømmelse af især chokoladeplet vanskelig.

Det fremgår af tabel 1, at af de navngivne sorter har der været mindst angreb i sorterne LG Viper, Lynx og Genius. Mest angreb i de navngivne sorter er fundet i Capri, LG Stego, Stella, Allison og Daisy, men flere sorter ligger på samme angrebsniveau som disse sorter. 

Se tidligere undersøgelser af angreb af vikkeskimmel i forskellige sorter i Hestebønnesorternes modtagelighed for vikkeskimmel. Her indgik sorterne Lynx, Capri, Stella, Allison og Daisy også, og der er god overensstemmelse mellem de to undersøgelser for disse sorter.

Ingen af de godkendte svampemidler i hestebønner har god effekt på vikkeskimmel.

Tabel 1. Angreb af vikkeskimmel i sorter af hestebønner.

Hestebønne
Vikkeskimmel (% angreb af grønt bladareal)1)
Lokalitet
Dato
Sort
Nr. Åby
28-06
Holstebro
12-07
Åbenrå
20-06
Åbenrå
11-07
Tystofte
11-07
Tystofte
27-07
Holeby
15-07
Holeby
10-08
Juelsminde
20-06
Gns2)
SJ B033 1 1 1 10 0,1 0 0,1 5 10 3,4
LG Viper 1 0 10 10 0,1 0 0,1 5 10 3,9
Lynx 1 0 5 5 0,01 0 0,1 1 25 5,3
NOS 3010-3 1 1 5 10 0,1 0 0,1 5 25 6,2
Genius 0,1 0,1 10 10 0,01 5 0,1 5 25 6,7
PHP 20-32 5 0,1 10 10 1 0 0,5 1 25 6,9
Tiffany 5 1 10 10 0,1 0 0,5 1 25 7,0
Apollo 5 0 10 10 1 0 0,5 5 25 7,2
SJ B099 5 0 25 25 1 0 0,5 5 10 7,2
PHP 21-8 5 0,1 10 10 1 1 0,5 5 25 7,3
RLS97109 5 0 10 25 3 0 0 5 25 8,6
RLS217101 1 0 25 25 1 0 0,1 1 25 8,7
RLS97110 10 0 10 25 1 0 0,5 1 25 9,0
Blanding 5 0,1 10 25 1 10 1 5 25 9,4
Bolivia 5 0,1 25 25 1 0 0,1 5 25 9,7
Callas 5 0,1 25 25 5 0 0,1 1 25 9,7
Protina 5 0,5 25 25 1 0 1 10 25 10,3
PHP 20-35 5 0 25 25 5 5 0,1 5 25 10,4
Futura 5 0,5 25 25 0,1 10 0,5 5 25 10,6
Synergy 10 0,1 25 25 5 0 1 5 25 10,9
Daisy 10 1 25 25 5 5 0,5 1 25 11,1
Allison 10 1 25 25 5 5 0,5 10 25 11,9
Stella 10 0 25 50 1 0 0,5 5 25 12,6
PHP 20-39 5 0,1 10 50 5 0 0,5 1 50 14,7
LG Stego 1 1 25 50 1 0 1 5 50 15,5
Capri 10 0 25 25 5 10 1 5 50 15,9

1) Bedømmelser af angreb er foretaget på en skala fra 1-9, og herefter omsat til en procentskala fra 0-100. Se tekst.
2) Gennemsnit for observationer pr. lokalitet er beregnet først, og indgår i gennemsnit for antal lokaliteter.

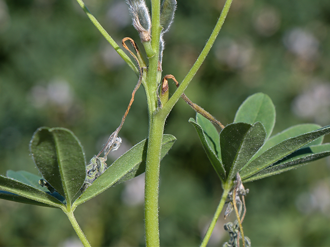
På foto 1-6 ses angreb af vikkeskimmel fra forsøgene. Angrebene kan, som det fremgår, se meget variable ud. Alle fotos er fra 20. juni 2022.

Registreringer i ærter

Angrebene af svampesygdomme i ærter var meget svage, og det var kun muligt at bedømme angreb af ærteskimmel ( Peronospora viciae f.sp. pisi ) og kun på en enkelt lokalitet. Da der dog var meget svage angreb, kan data ikke anvendes til at skelne mellem sorternes modtagelighed. Ærteskimmel tilhører samme svampeart som vikkeskimmel i hestebønner. Der kan ikke ske smitte mellem de to afgrøder.

På foto 7-10 ses angreb af ærteskimmel fra forsøgene. Alle fotos er fra 29. juni 2022. 

Registreringer i lupiner

I lupiner er der foretaget bedømmelser i smalbladet lupin (Lupinus angustifolius) og hvid lupin (Lupinus albus). Som det fremgår af de latinske navne, tilhører de to afgrøder samme planteslægt, men forskellige arter. Smalbladet lupin er den mest dyrkede lupinart i Danmark. Smalbladet lupin kaldes også blå lupin.

I smalbladet lupin optrådte der meget kraftige angreb af Peronospora på 2 lokaliteter. Den art af Peronospora, der almindeligvis er rapporteret hos lupin, er kløverskimmel ( Peronospora trifoliorum). Se resultaterne i tabel 2. Erfaringerne med svampesygdomme i lupiner er relativt begrænsede i forhold til svampesygdomme i hestebønner og ærter. Det var derfor også overraskende, at der optrådte så kraftige angreb af kløverskimmel. Mikroskopi viste, at der var tale om Peronospora, ligesom sporestørrelse passede med arten trifoliorum, som er beskrevet som et patogen på lupin.

Nomenklaturudvalget har navngivet denne svampesygdom ”kløverskimmel”. Svampen tilhører samme svampeslægt som vikkeskimmel og ærteskimmel, så der må flere steder have været gode klimatiske forhold for denne svampeslægt i 2022. Der vurderes ikke at kunne ske smitte mellem kløver og lupiner, da det er forskellige typer af svampen.

Af tabel 2 fremgår, at der af de navngivne sorter blev  fundet mest kløverskimmel i sorten Primadonna, men der blev fundet betydende angreb i de fleste sorter. Der blev ikke fundet angreb af kløverskimmel i hvid lupin.

Tabel 2. Angreb af kløverskimmel i sorter af smalbladet lupin.

Smalbladet lupin Kløverskimmel (% angreb af grønt bladareal)1)
Lokalitet
Dato
Sort
Dyngby
11-07
Åbenrå
11-07
Gennemsnit2)
PRH 1282/16 10 10 10,0
36099 Samba 25 25 25,0
36101 PRH 496/20 50 10 30,0
Iris 25 50 37,5
Carabor 50 50 50,0
36025 NOS 18-09 50 50 50,0
36097 Lunabor 50 50 50,0
36100 Orion 50 50 50,0
Primadonna 50 100 75,0
36026 NOS 18-12 50 100 75,0

1) Bedømmelser af angreb er foretaget på en skala fra 1-9, og herefter omsat til en procentskala fra 0-100. Se tekst.
2) Gennemsnit for observationer pr. lokalitet er beregnet først, og indgår i gennemsnit for antal lokaliteter.

I hvid lupin optrådte der meget kraftige angreb af antracnose (Colletotrichum gloesporiodes) på 3 lokaliteter. Se resultaterne i tabel 3. Det fremgår, at der har været klart mest i sorten Figaro og meget mindre i Celina og Frieda. Antracnose er udsædsbåren, og der er udtaget frøprøver fra den udsåede udsæd for at undersøge smitteomfanget på frøene. Resultatet af disse analyser foreligger først senere i efteråret.

Der blev ikke fundet angreb af antracnose i smalbladet lupin. 

Tabel 3. Angreb af antracnose i sorter af hvid lupin.

Hvid Lupin Antracnose (% angreb af grønt bladareal)1)              
Lokalitet
Dato
Sort
Dyngby
29-06
Dyngby
11-07
Åbenrå
11-07
Hår
13-07
Gennemsnit2)
Celina 0,01 5 0,1 0 0,9
Frieda 1 25 0 0,1 4,4
Figaro 100 100 25 25 50,0

1) Bedømmelser af angreb er foretaget på en skala fra 1-9, og herefter omsat til en procentskala fra 0-100. Se tekst.
2) Gennemsnit for observationer pr. lokalitet er beregnet først, og indgår i gennemsnit for antal lokaliteter

På foto 16-19 ses angreb af antracnose fra forsøgene.

Gråskimmel og knoldbægersvamp i lupin

Sporadisk blev der også fundet enkeltplanter med angreb af gråskimmel (Botrytis cinerea) hhv. knoldbægersvamp (Sclerotinia sclerotiorum) i lupin. Grundet den sporadiske forekomst var det ikke muligt at se evt. sortsforskelle. Det vurderes dog ikke, at der er direkte sortsforskelle i modtagelighed for gråskimmel, men snarere kan forskellig vækstform eller plantetæthed medføre forskellige angrebsniveauer, da gråskimmel typisk trives ved henfaldent plantemateriale og fugtige forhold. Det samme kan være tilfældet ved angreb af knoldbægersvamp.

Der blev også fundet angreb af minérfluer, men meget svage angreb.

På foto 20-25 ses angreb af gråskimmel, knoldbægersvamp og minerfluer fra forsøgene i lupin.

Observationsparceller

Ovenstående undersøgelse viser, at bedømmelser af angreb af svampesygdomme i bælgplanter giver oplysning om forekomst af betydende svampesygdomme og evt. sortsforskelle. I korn findes såkaldte observationsparceller, hvor der hvert år bliver bedømt angreb af svampesygdomme i parceller med ubehandlede sorter. Et tilsvarende system findes ikke for bælgplanter.

Medforfattere er Anders Søndergaard Larsen og Susanne Sindberg, TystofteFonden,

Vil du vide mere?